Ireland are gearing up for Saturday's Pool A match with Samoa knowing a bonus-point victory in Fukuoka will be enough to secure them a spot in the World Cup quarter-finals.
Australia guaranteed their place in the last eight with a 27-8 win over Georgia on Friday, but most of the attention remains off the pitch.
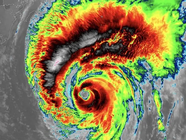
The impending impact of Typhoon Hagibis continues to dominate headlines in Japan, with Scotland's crunch final Pool A match against hosts Japan on Sunday still in doubt.
Here, the PA news agency takes a look ahead to Saturday's only remaining fixture and wraps up Friday's action.
Ireland focus on job at hand, not the pitch
#RWC2019 @BundeeAki ready to embrace the privilege of playing Samoa with 'a humble heart'.#TeamOfUs #IREvSAM #ShoulderToShoulder pic.twitter.com/p0sepTuvDv
— Irish Rugby (@IrishRugby) October 11, 2019
Ireland wing Keith Earls has called on his team-mates to "get on the with job" ahead of Saturday's decisive Pool A World Cup clash with Samoa.
The state of the pitch at Hakatanomori Stadium has been heavily debated in the build-up to the fixture. Large sections of the pitch have been twice relayed, most recently after France beat the USA on October 2
But with Ireland needing a bonus-point win to book a quarter-final berth, Earls said: "It's flat and quite firm.
"It doesn't feel too bad to run on. It's been inspected and deemed playable and that's the way it felt out there today.
"It's going to be the same for both teams, and we'll just have to get on with the job."
Lam to enjoy Samoa's final 2019 World Cup game
Samoa and Jack Lam will wrap up their World Cup campaign on Saturday and he hopes his decision to place national pride ahead of personal gain can spark lasting change for his country
Back-row forward Lam was released by Gallagher Premiership club Bristol, and then as a free agent rejected a lucrative move to France to instead head to Japan for this tournament.
The club contracts on offer in France had strings attached: the deals were conditional on Lam missing the World Cup with his national side.
The 31-year-old made the brave, and financially costly, decision to put Samoa first, and has admitted hoping such principled stands will shine a light on the murkier concerns for Pacific Islands talents.
"There were a couple of contracts in France that I could've taken but they had the condition that I had to turn down playing for Samoa in the World Cup and in the future as well," said Lam.
"I just couldn't do that to myself and the jersey and it just didn't cross my mind; it was a no-brainer. It was a bit of a risk, especially for my family, but my my family were all behind my decision.
"Hopefully in the future it will change and we won't have these kind of problems where we have to pick certain players."
World Rugby stand firm in SRU row
ðŸ—£ï¸ Greig Laidlaw on the Rugby World Cup Pool A finale against Japan on Sunday in today's press conference.#AsOne #RWC2019 pic.twitter.com/dotsh0nzPT
— Scottish Rugby (@Scotlandteam) October 11, 2019
As Typhoon Hagibis continues on its course towards the mainland, Scotland's final Pool A clash against Japan in Yokohama on Sunday remains under threat.
Japan's biggest storm for more than 50 years is set to strike the Tokyo-Yokohama region on Saturday, with wind speeds in excess of 160mph.
Two of the scheduled fixtures – including England's showdown with France – have already been cancelled by the governing body.
If the Japan/Scotland game is axed, the result would be recorded as a draw, meaning the hosts would progress ahead of Gregor Townsend's team.
Scottish Rugby Union chief executive Mark Dodson, however, is not about to give up without a fight, and after seeking expert legal opinion, continues to call for a move to an alternative venue or delay until after the storm passes.
World Rugby, though, issued an angry response, insisting the Scots were happy to sign up to the rules which prohibit pool matches being rescheduled before the tournament.
"The sheer predicted scale and impact of the typhoon, and the complexity of team movements for eight matches, meant that an even-handed application was just not possible without putting safety at risk," a statement from World Rugby said on the issue of rescheduling.
Wallabies book quarter-final berth
Highlights: @wallabies vs @georgianrugby in Pool D at Rugby World Cup 2019 #RWC2019 #AUSvGEO pic.twitter.com/ArLB7rBatr
— Rugby World Cup (@rugbyworldcup) October 11, 2019
Australia's 27-8 bonus-point win over Georgia through the gusting winds and driving rain at the Shizuoka Stadium kept them on course for a potential quarter-final showdown with England.
Michael Cheika's much-changed side – with Matt To'omua deployed as the Wallabies' third different fly-half of the tournament and David Pocock as stand-in skipper – just about got the job done following a slow start.
Scrum-half Nic White eventually broke Georgia's resistance when he wriggled over from close range for the opening try after 22 minutes and Australia stretched their lead late on.
Stat of the Day
Georgia have made 191 tackles after 67 minutes. No team has made more tackles this Rugby World Cup #RWC2019 #AUSvGEO
— Rugby World Cup (@rugbyworldcup) October 11, 2019