Live scores
Previews
Search the website
Menu
Loading...
League Two
Newport
Aug 9, 2014 3.00pm
0
2
HT :
0
2
FT
Wycombe
Peter Murphy 40'
Paris Cowan-Hall 44'
Sports Mole
Football
League-Two
Newport County vs Wycombe Wanderers - Match Guide, Data Analysis, Standings
Reaction
Result
Muguruza books spot in WTA semi-finals
Tennis
|
30 Oct 2015 08:47
News
Scotland confident of Sean Maitland fitness for Japan clash
Rugby Union
|
08 Oct 2019 09:57
News
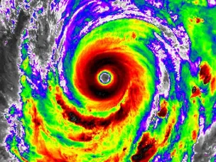
Scotland awaiting news on Typhoon Hagibis ahead of Japan showdown
Rugby Union
|
09 Oct 2019 13:48
News
Typhoon Hagibis threatening to end Scotland's World Cup hopes
Rugby Union
|
09 Oct 2019 15:29
News
Scotland waiting to hear whether crunch match with Japan will be cancelled
Rugby Union
|
10 Oct 2019 05:49
The match
Result
Hosts Japan win thrilling Group A decider to dump Scotland out of World Cup
Rugby Union
|
13 Oct 2019 14:12
Form, Standings, Stats
Newport County
All competitions
W
L
D
D
W
L
League Two
W
L
D
D
W
L
Last game
May 3, 2014 3.00pm
Newport 2 - 1 Rochdale
Goals scored
51
Top scorer
Aaron O'Connor
Wycombe Wanderers
All competitions
L
L
W
L
L
D
League Two
W
L
L
D
L
W
Last game
May 3, 2014 3.00pm
Torquay Utd 0 - 3 Wycombe
Goals scored
67
Top scorer
Paul Hayes
Head to Head
League Two
Newport
Apr 12, 2014 3.07pm
2
0
HT :
0
0
FT
Wycombe
Christian Jolley 68'
Chris Zebroski 73'
Aaron Pierre 89'
League Two
Wycombe
Dec 26, 2013 12.30pm
0
1
HT :
0
1
FT
Newport
Michael Flynn 31'
Ryan Jackson 63'
Form Data
Newport 2 - 1 Rochdale
York City 1 - 0 Newport
Newport 1 - 1 Burton Albion
AFC Wimbledon 2 - 2 Newport
Newport 2 - 0 Wycombe
Newport 1 - 2 Plymouth
Wycombe 0 - 2 Reading
Wycombe 0 - 5 Chelsea
Torquay Utd 0 - 3 Wycombe
Wycombe 1 - 2 Bristol Rovers
Fleetwood 1 - 0 Wycombe
Wycombe 1 - 1 Northampton
Toggle theme
Light
Dark
Auto